Науковці попередили про аномальне виверження підводного вулкану Axial Seamount найближчим часом

Науковці попередили про аномальне виверження підводного вулкану Axial Seamount найближчим часом
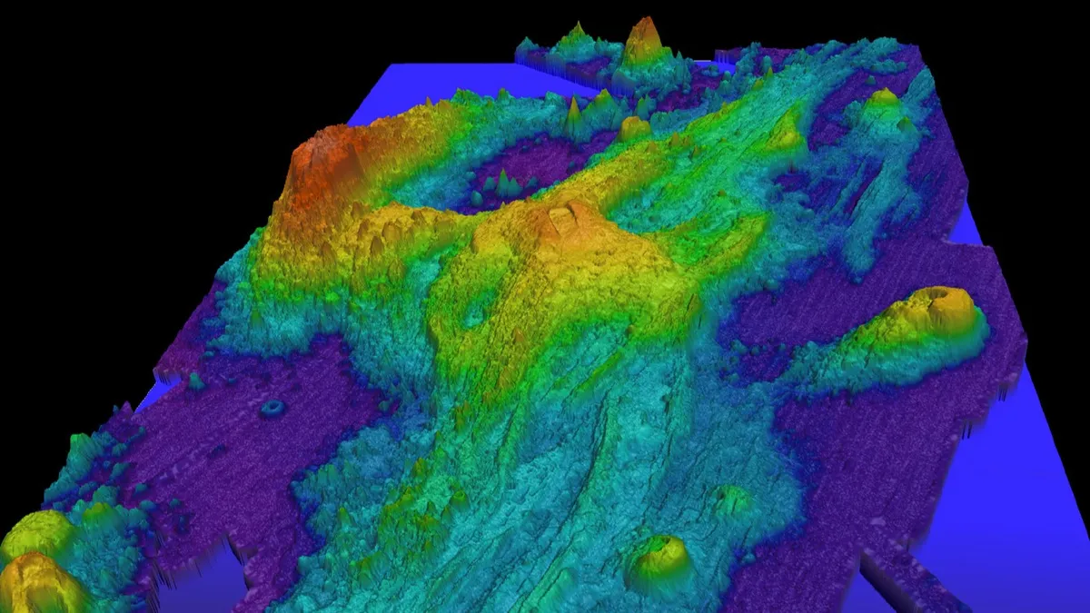
Підводний вулкан Axial Seamount, розташований за 480 км від узбережжя штату Орегон, вкотре не виправдав очікувань на виверження у 2023−2024 роках. Науковці Національного управління океанічних і атмосферних досліджень США (NOAA) тепер прогнозують наступне ймовірне виверження у 2026 році, зважаючи на останні дані деформації земної кори та сейсмічної активності.
Axial Seamount є одним із найбільш моніторених підводних вулканів у світі. Його активність фіксується з використанням мережі підводних приладів, розміщених на глибинах понад 1500 метрів. Основним індикатором наближення виверження є підняття вулканічної кальдери — ознака накопичення магми. Станом на кінець 2025 року підйом досяг рівнів, що передували попереднім виверженням у 1998, 2011 та 2015 роках.
Осьова підводна гора знаходиться приблизно в 480 кілометрах (300 милях) від узбережжя штату Орегон. Джерело зображення: NOAA через Wikimedia Commons (публічний домен)
Проте, як зазначають науковці, вулкан «поводиться непередбачувано» — темпи підйому змінюються, а сейсмічні сигнали не завжди відповідають звичному патерну. Ці фактори ускладнюють точне прогнозування. Тим не менш, вважається, що Axial Seamount залишається на шляху до чергової активної фази — найімовірніше, протягом 2026 року.
Axial має наукову цінність як природна лабораторія вивчення підводного вулканізму, геотермальних систем та зародження життя. Його активність не становить загрози для узбережжя США, але може впливати на морське середовище і глобальні геофізичні моделі. Новий прогноз — це частина тривалого процесу вдосконалення методів вулканічного передбачення.
У Миколаївській області знайшли склад боєприпасів з авіаракетою та мінометними мінами - відео з місця
Центр Миколаєва заливає водопровідною водою: відео події
У Римі під час пам'ятних заходів напали на людей з українськими прапорами: є постраждалі (відео)
Любовний чотирикутник з ілюзією: прем'єра вистави «Щасливий шлюб» на миколаївській сцені (фото, відео)
У Миколаївському театрі відбулася прес-конференція, присвячена виставі «Щасливий шлюб» (фото)
Мотоцикл врізався в «Теслу»: у центрі Миколаєва автомобільний затор
Вибух у багатоповерхівці Миколаєва: що розповіли очевидці (відео)
У центрі Миколаєва автомобільний затор через ремонт дороги: відео з місця
ТЦК у Харкові підозрюють у тортурах та викраденні людей: у ДБР показали відео та розкрили деталі справи













